Герб МО ГО Сыктывкар
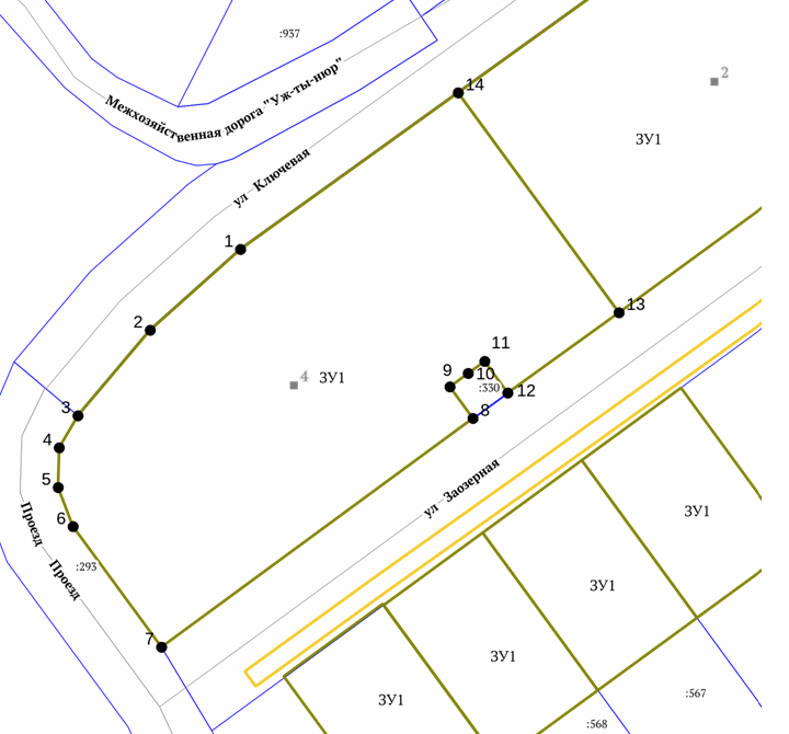
Условно-разрешенный вид использования «гостиничное обслуживание» земельного участка расположенного по адресу: Республика Коми, городской округ Сыктывкар, пгт. Верхняя Максаковка, ул. Заозерная,4
Условно-разрешенный вид использования «гостиничное обслуживание» земельного участка расположенного по адресу: Республика Коми, городской округ Сыктывкар, пгт. Верхняя Максаковка, ул. Заозерная,4

В соответствии с частью 2 статьи 5.1 Градостроительного кодекса Российской Федерации участниками общественных обсуждений являются граждане, постоянно проживающие в пределах территориальной зоны, в границах которой расположен земельный участок или объект капитального строительства, в отношении которых подготовлены данные проекты, правообладатели находящихся в границах этой территориальной зоны земельных участков и (или) расположенных на них объектов капитального строительства, граждане, постоянно проживающие в границах земельных участков, прилегающих к земельному участку, в отношении которого подготовлены данные проекты, правообладатели таких земельных участков или расположенных на них объектов капитального строительства, правообладатели помещений, являющихся частью объекта капитального строительства, в отношении которого подготовлены данные проекты, а в случае, предусмотренном частью 3 статьи 39 настоящего Кодекса, также правообладатели земельных участков и объектов капитального строительства, подверженных риску негативного воздействия на окружающую среду в результате реализации данных проектов.

В соответствии с ч.12 ст.5.1 Градостроительного кодекса Российской Федерации участники общественных обсуждений в целях идентификации представляют сведения о себе (фамилию, имя, отчество (при наличии), дату рождения, адрес места жительства (регистрации) — для физических лиц; наименование, основной государственный регистрационный номер, место нахождения и адрес — для юридических лиц) с приложением документов, подтверждающих такие сведения.
Участники общественных обсуждений, являющиеся правообладателями соответствующих земельных участков и (или) расположенных на них объектов капитального строительства и (или) помещений, являющихся частью указанных объектов капитального строительства, также представляют сведения соответственно о таких земельных участках, объектах капитального строительства, помещениях, являющихся частью указанных объектов капитального строительства, из Единого государственного реестра недвижимости и иные документы, устанавливающие или удостоверяющие их права на такие земельные участки, объекты капитального строительства, помещения, являющиеся частью указанных объектов капитального строительства.

В период с 01 августа 2022 года по 10 августа 2022 года участники общественных обсуждений могут направить предложения и замечания:

1) посредством официального сайта администрации МО ГО «Сыктывкар» в информационно-телекоммуникационной сети «Интернет» - сыктывкар.рф (далее - сайт сыктывкар.рф);

2) в письменной форме в адрес Комиссии по землепользованию и застройке администрации МО ГО «Сыктывкар»;

3) на электронную почту Комиссии по землепользованию и застройке администрации МО ГО «Сыктывкар» komzpz@syktyvkar.komi.com (размер вложенного файла не должен превышать 100 Мб), по форме: «Форма внесения участниками общественных обсуждений предложений и замечаний для физических лиц» либо по форме: «Форма внесения участниками общественных обсуждений предложений и замечаний для юридических лиц» с приложением:
- скан-копий документов, подтверждающих сведения об участнике;
- заявления о согласии на обработку персональных данных.

4) путем личного обращения по адресу: г. Сыктывкар, ул. Бабушкина, 22, кабинет 215, тел. 21-43-10. Время приема по вторникам с 9–00 до 12–00.

5) посредством записи в книге (журнале) учета посетителей экспозиции проекта, подлежащего рассмотрению на общественных обсуждениях.